东太湖论坛

搜索
 找回密码
 注册
在本论坛发布谣言、色情、反动、侵权等内容将依法严肃处理,区公安局举报电话:0512-110 。 申请删帖
查看: 8826|回复: 19

[我爱厨房] 爱吃鱼,能买到新鲜的鱼也是一种快乐

[复制链接]
发表于: 2025-12-1 08:28 来自- 中国江苏苏州 | 显示全部楼层 |阅读模式 | 来自江苏
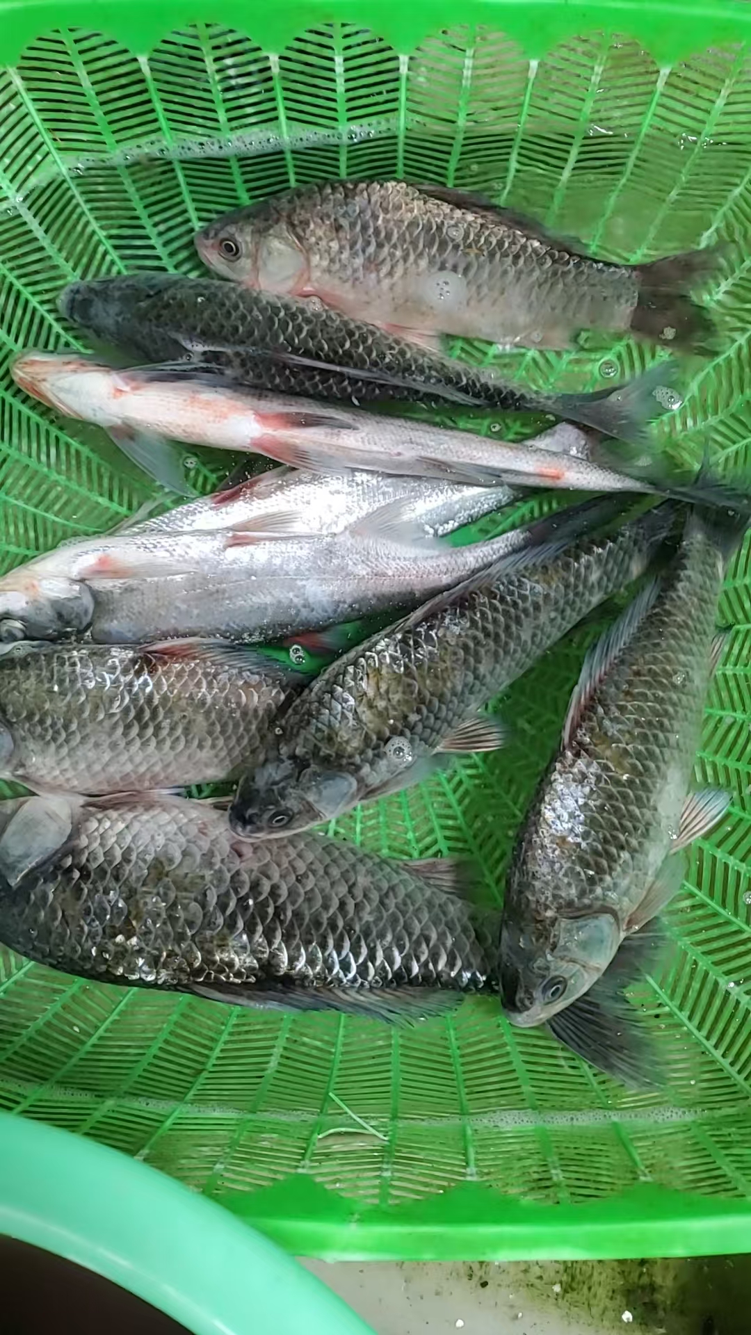
都新鲜的很!!看到了都想买!还都是野生的。鱼肉劲道。
更多图片 小图 大图
组图打开中,请稍候......
发表于: 2025-12-1 09:40 来自- 中国江苏苏州 | 显示全部楼层 | 来自江苏
哪里有卖
发表于: 2025-12-1 10:30 来自- 中国江苏苏州 | 显示全部楼层 | 来自江苏
鳞片大的大板鲫是鲤鲫,白鱼更好,即使躺平了,但可以做一夜干
发表于: 2025-12-1 11:58 来自- 中国江苏 | 显示全部楼层 | 来自江苏
 楼主| 发表于: 2025-12-1 15:15 来自- 中国江苏苏州 | 显示全部楼层 | 来自江苏

我在新天地菜场买的,西南角的门进去先过了右手一家卖水产的后,左面第一家,基本都野生的

发表于: 2025-12-1 19:20 来自- 中国江苏 | 显示全部楼层 | 来自江苏
发表于: 2025-12-1 21:01 来自- 中国江苏苏州 | 显示全部楼层 | 来自江苏
野生的?河里捞的?
发表于: 2025-12-2 09:27 来自- 中国江苏苏州 | 显示全部楼层 | 来自江苏
发表于: 2025-12-2 09:29 来自- 中国江苏苏州 | 显示全部楼层 | 来自江苏
发表于: 2025-12-2 10:28 来自- 中国江苏苏州 | 显示全部楼层 | 来自江苏
有空也去看看,野生的小鲫鱼多少钱一斤?
发表于: 2025-12-2 20:58 来自- 中国江苏苏州 | 显示全部楼层 | 来自江苏
城市雨中人 发表于 2025-12-1 15:15
我在新天地菜场买的,西南角的门进去先过了右手一家卖水产的后,左面第一家,基本都野生的

...

除了图一激浪鱼,其它应该是野的
发表于: 2025-12-3 13:33 来自- 中国江苏苏州 | 显示全部楼层 | 来自江苏
这些鱼什么价格啊
发表于: 2025-12-4 08:56 来自- 中国浙江嘉兴 | 显示全部楼层 | 来自浙江
城市雨中人 发表于 2025-12-1 15:15
我在新天地菜场买的,西南角的门进去先过了右手一家卖水产的后,左面第一家,基本都野生的

...

每天都有这么多野生的话,基本就是电鱼了
发表于: 2025-12-15 10:56 来自- 中国江苏苏州 | 显示全部楼层 | 来自江苏

发表于: 2025-12-16 12:27 来自- 中国江苏苏州 | 显示全部楼层 | 来自江苏
发表于: 2026-1-19 09:35 来自- 中国江苏苏州 | 显示全部楼层 | 来自江苏
发表于: 2026-3-17 10:42 来自- 中国江苏苏州 | 显示全部楼层 | 来自江苏
最爱还是野生的小鲫鱼,要么就是现在吃不到的长江三鲜
发表于: 2026-3-25 11:48 来自- 中国江苏苏州 | 显示全部楼层 | 来自江苏
发表于: 2026-4-9 09:20 来自- 中国江苏苏州 | 显示全部楼层 | 来自江苏
发表于: 2026-4-12 14:19 来自- 中国江苏苏州 | 显示全部楼层 | 来自江苏
不错
在本论坛发布谣言、色情、反动、侵权等内容将依法严肃处理,区公安局举报电话:0512-110 。 删帖申请表
您需要登录后才可以回帖 登录 | 注册

本版积分规则

客户端|小黑屋|手机版|吴江新闻网 ( 苏ICP备2022046825号 苏新网备2008040号 )

GMT+8, 2026-4-20 10:11 , Processed in 0.032700 second(s), 12 queries , MemCache On.

Powered by Discuz! X3.4

© 2001-2013 Comsenz Inc.

快速回复 返回顶部 返回列表
东太湖论坛中发表的内容仅代表网民个人的观点,并不代表东太湖论坛支持或反对此观点。
如果在论坛中有网民发表的不实内容,侵害到您的合法权益,本论坛并不承担相关的责任。
如果您认为情节严重,您可以向警方报案。我们按法定程序积极配合,维护您的合法权益。
投诉电话: 在线投诉
电子邮箱:
点击 >> 删帖申请
苏公网安备 32050902100654号 互联网违法和不良信息举报中心